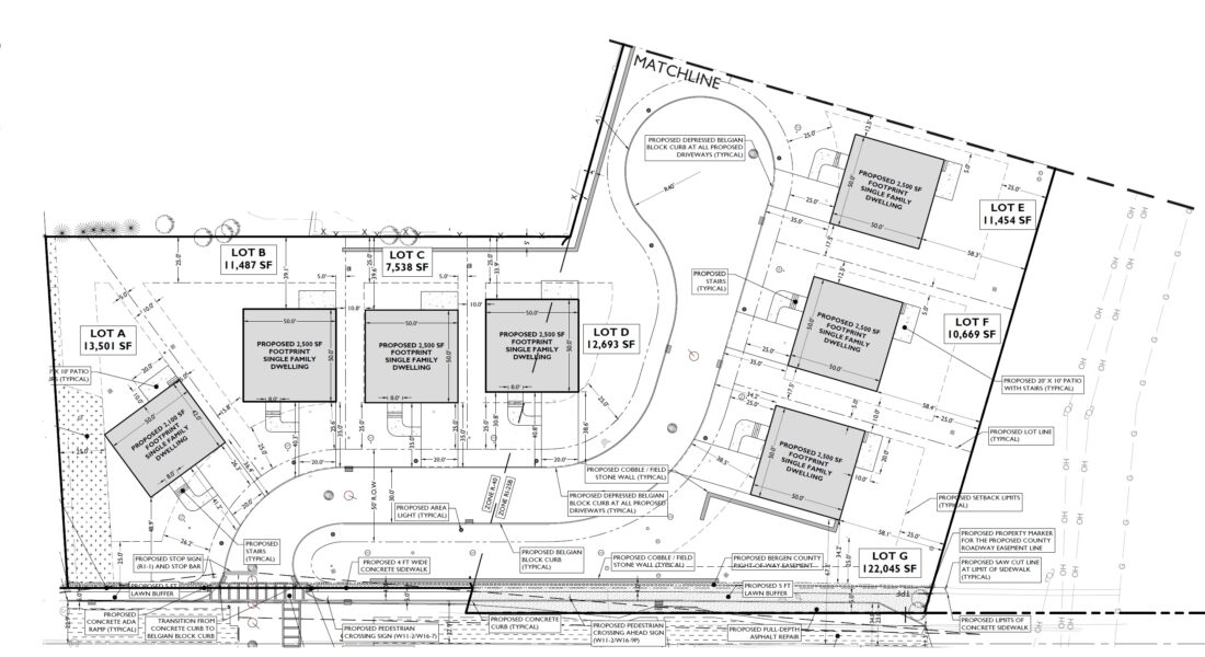
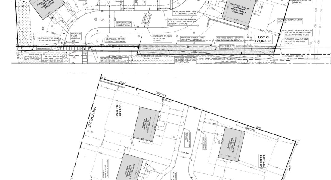
Fully approved 11 lot subdivision, new construction single family houses community is under construction in the beautiful township of Montvale.  Contact for more info and Build to Suit.

Back to Portfolio


Share this:
Back to top